조황관리HOME / 조황관리 / 상세정보

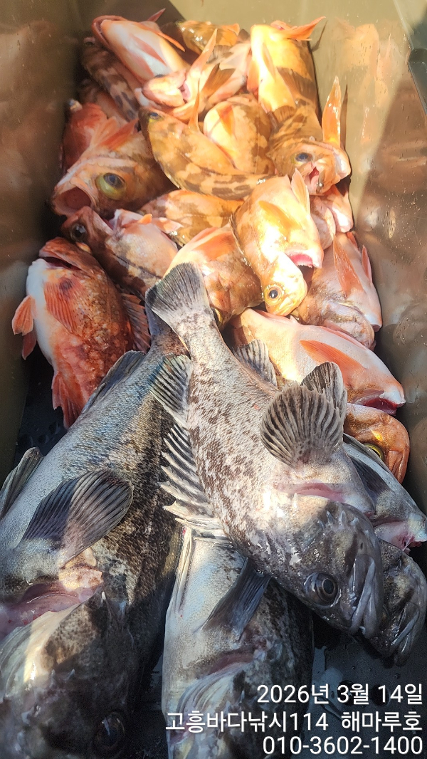
제목 : ◐우럭열기 이정도는 잡아봐야지요 조황입니다 [2026년03월14일] ◎ 해마루호가 뜨는이유? 조황때문이죠 ◎ 핵심포인트: 바로진입.. 바로히트.. ▣ 차원이 다른 조황으로 모십니다
등록일 : 2026-03-14



2026년03월14일 우럭열기 이정도는 잡아봐야지요 조황입니다
◎ 해마루호가 뜨는이유? 조황때문이죠
◎ 핵심포인트: 바로진입.. 바로히트..
▣ 차원이 다른 조황으로 모십니다

[ 다음 출항 일정 ]
15일 일요일-우럭열기-정상 출항합니다
16일 월요일-우럭열기-정상 출항합니다
17일 화요일-우럭열기-정상 출항합니다
18일 수요일-부터 방어정상 출항합니다

▣예약하기홈페이지 : 고흥바다낚시114
http://bada114.sunsang24.com/
예약전화:010-3602-1400

▣ 밴드명 : 고흥바다낚시114
http://band.us/band/68306541

▣고흥바다낚시114 - YouTube 동영상보기
https://www.youtube.com/channel/UCezfZ9JasrN6PdcxnG3bZtQ

#붉바리 #해마루호 #고흥녹동 #바다낚시114 #외수질전문 #생미끼전문 #귀족고기
#붉바리낚시 #붉바리조황 #열기조황 #열기낚시 #우럭조황 #우럭낚시 #외수질낚시 # 생미끼낚시 #외수질생미끼 #민어낚시 #민어조황 #외수질조황 # 쏨뱅이낚시 #쏨뱅이조황 #고흥바다낚시114 #해마루호 #바다114 #방어조황 #방어낚시 #방어지깅낚시

01TimePhoto_20260314_145709-tile.jpg


02TimePhoto_20260314_100051-tile.jpg


TimePhoto_20260314_100051.jpg


TimePhoto_20260314_100016.jpg


TimePhoto_20260314_100100.jpg


TimePhoto_20260314_100113.jpg


TimePhoto_20260314_100121.jpg


TimePhoto_20260314_111313.jpg


TimePhoto_20260314_144836.jpg


TimePhoto_20260314_144845.jpg


TimePhoto_20260314_152840.jpg


TimePhoto_20260314_152945.jpg


TimePhoto_20260314_152955.jpg


TimePhoto_20260314_153011.jpg


TimePhoto_20260314_153259.jpg


TimePhoto_20260314_153351.jpg


00선상24시-간편.jpg
 

고흥바다낚시114 해마루호 예약안내 

○ 집결 주소 : 고흥군  목넘 가는길 52-3  ( 녹동항 ) 남해식당뒷 
○ 승선 주소 : 고흥군 도양읍 봉암리 2766-14 ( 득량도선장 ) 
○ ☎️ 전화: 061-843-4114  ○ ☎️ 휴대폰: 010 - 3602 -1400

○유듀브 동영상조황


해마루사진.png
 

Top